• Sledovat cenu
  •  

Zasílání upozornění emailem:

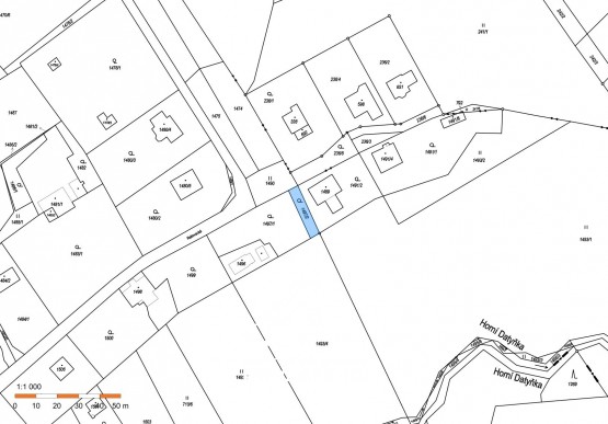
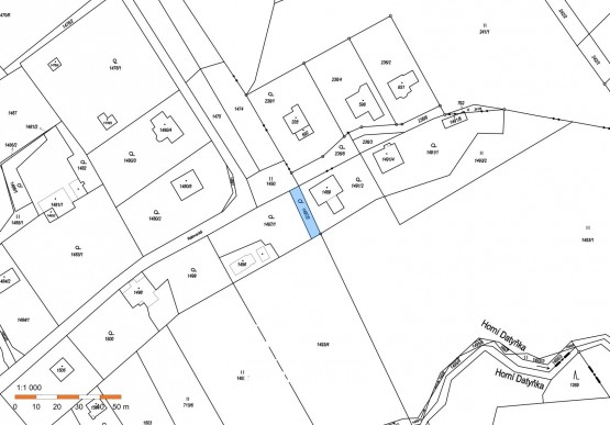
Zahrada 15602 m2 - Horní Datyně , Vratimov, okr. Ostrava-město

Cena: 250 Kč/m2
Stav:Volný
parcela: 15602m2
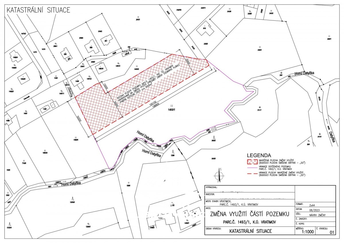
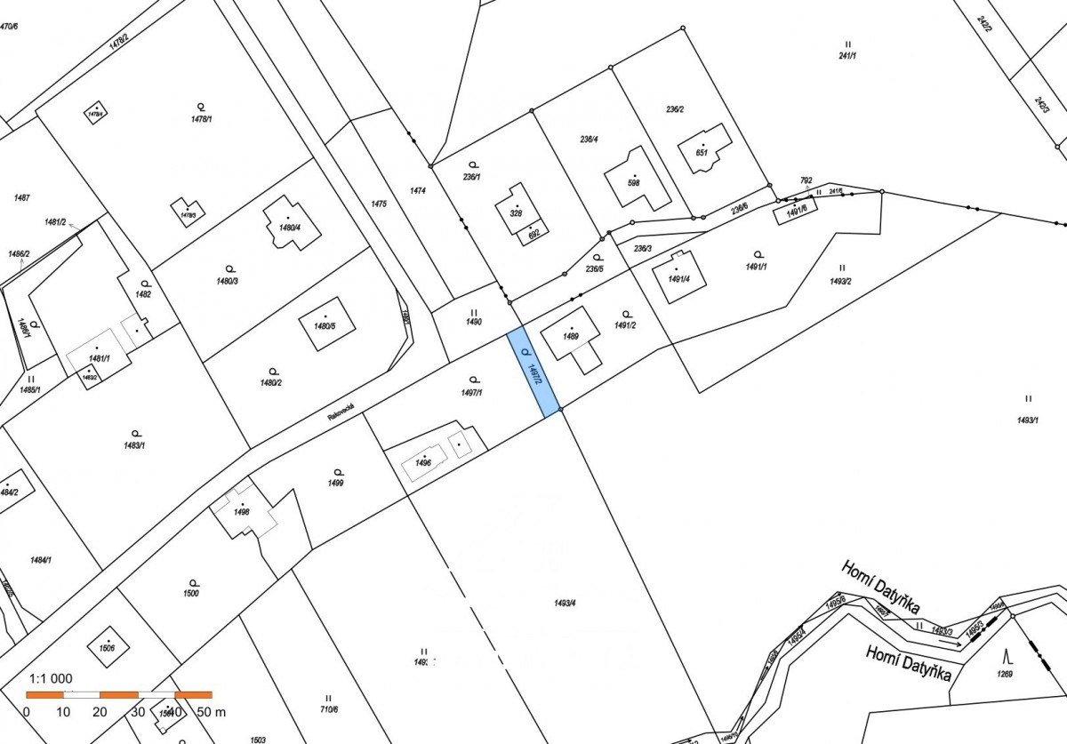
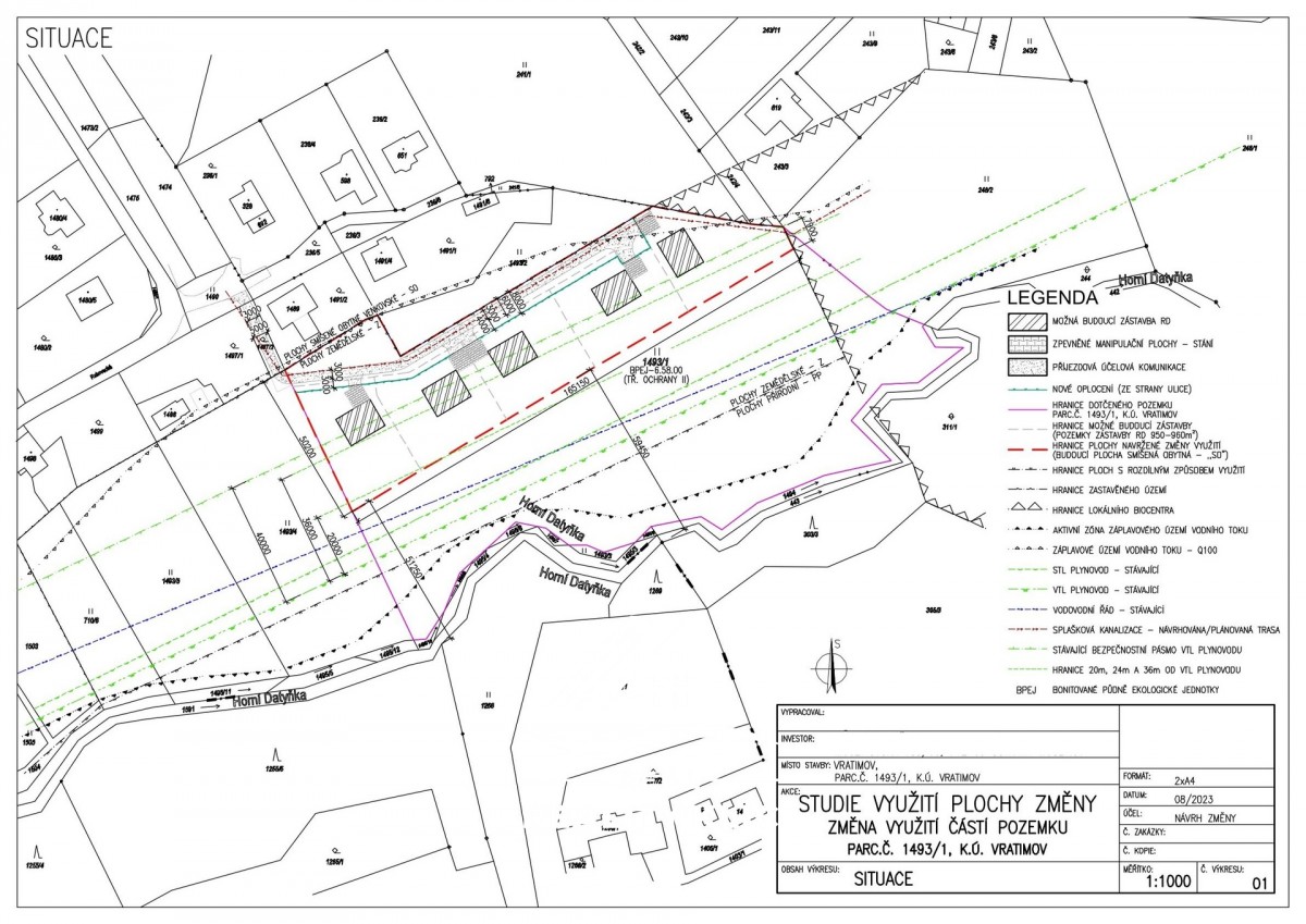
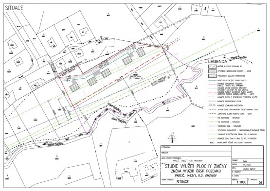
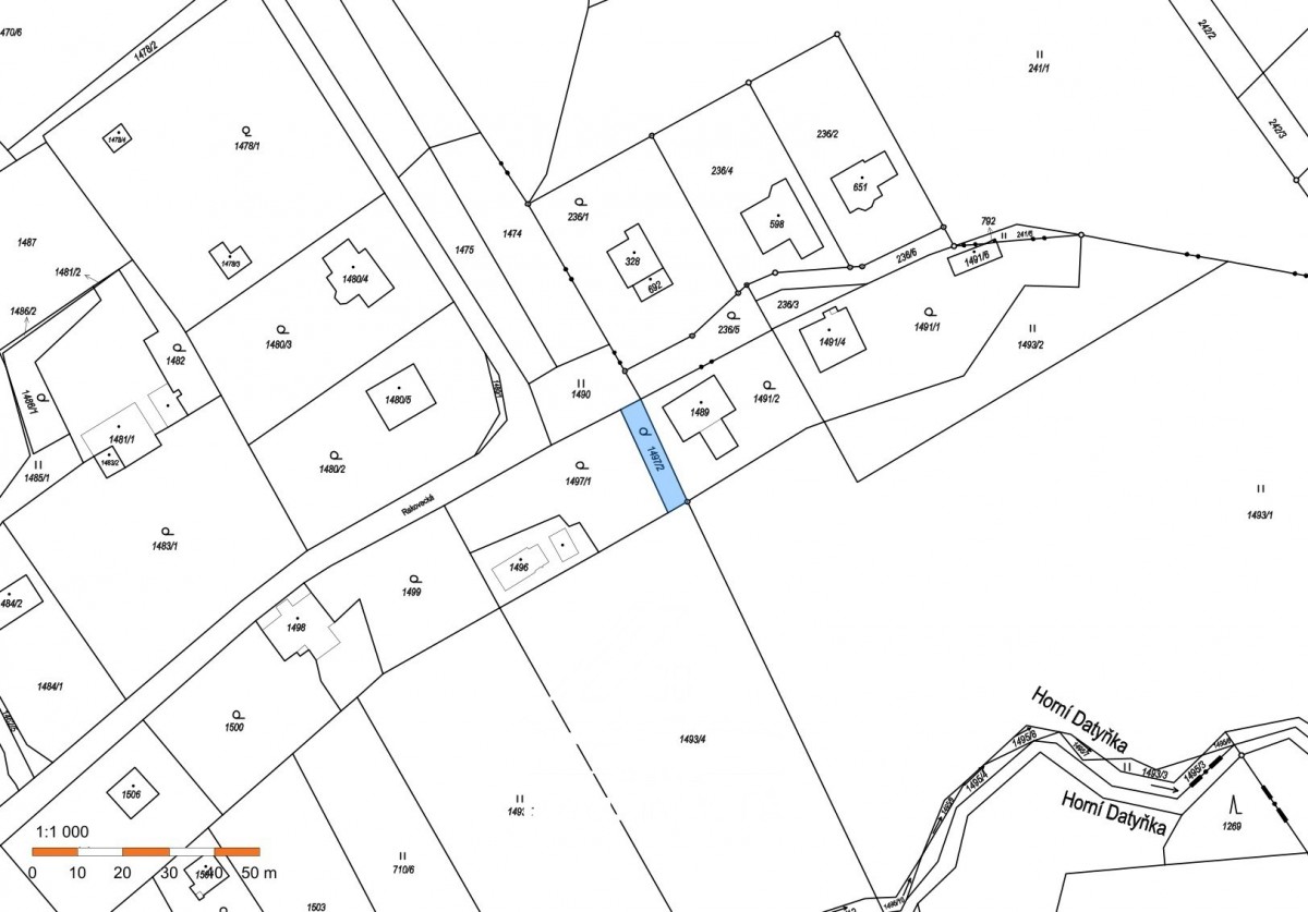
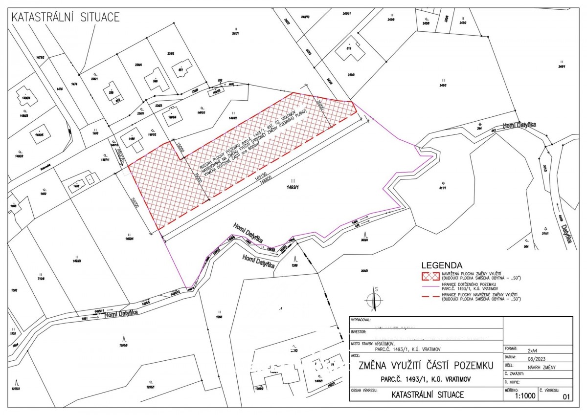
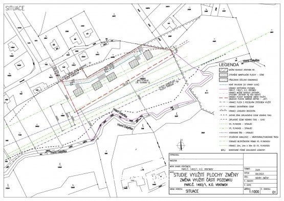
Popis: Nabízíme Vám ve výhradním zastoupení majitele k prodeji rovinatý pozemek v obci Vratimov – Horní Datyně o celkové rozloze 15 602m2. Jedná se o dvě parcely: parcela č. 1493/1 o celkové výměře 15. 479m2 (...trvalý travní porost) a parcela č. 1497/2 o celkové výměře 123m2 (zahrada). Pozemek se prodává za cenu 250kč/m2. Inženýrské sítě - voda a elektřina se nacházejí na okraji pozemku. Příjezd k pozemkům je zajištěn z obecní komunikace přes soukromou cestu se zapsáním věcného břemene jízdy a chůze a přes parcelu 1497/2 ve vlastnictví prodávajícího, kterou je možno po domluvě také koupit nebo zapsat podíl na LV. V 08. 2023 byla podána žádost na stavebním odboru ve Vratimově na změnu využití částí pozemku parc. č. 1493/1, k. ú. jenž se nachází v nezastavěném území obce ve funkční ploše zemědělské – Z, Vratimov. Předmětem záměru je návrh změny využití částí pozemku parc. č. 1493/1, k. ú. Vratimov, na zastavitelnou plochu smíšenou obytnou - SO. Předmětem záměru je návrh změny využití částí pozemku parc. č. 1493/1, k. ú. Vratimov, na zastavitelnou plochu pro možnou budoucí zástavbu rodinnými domy. V předmětné ploše může vzniknout 5 stavebních pozemků o ploše cca 950 - 960m2 pro výstavbu RD (rodinný dům). Dopravní obsluhu lokality by zajišťovala nová účelová komunikace ze severozápadní strany pozemku, ze které by byly řešené sjezdy k jednotlivým pozemkům RD (rodinný dům). Sjezdy k jednotlivým pozemkům jsou dostačující pro odstavení vozidel před vjezdem na jednotlivé pozemky, ale i pro možnost vyhýbání protijedoucích automobilů. Oplocení jednotlivých pozemků RD (rodinný dům) by bylo situováno tak, aby byl zajištěn prostor veřejného prostranství 8m. Do prostoru veřejného prostranství by byly umístění stavby technické a dopravní infrastruktury tj. účelová komunikace, prodloužený vodovodní řád, splašková kanalizace a podzemní vedení el. Energie NN. Pozemek je na velice hezkém místě s dobrou občanskou dostupností do okolních měst jak autem, tak MHD. Pro bližší informace nám volejte nebo nás můžete osobně navštívit v Hlučíně na Mírovém náměstí 5/5, Hlučín. Všechny inzerované fotografie nemovitosti naleznete na naších webových stránkách.
Lokalita: Horní Datyně , Vratimov, okres Ostrava-město, Česká republika Horní Datyně , Vratimov, okr. Ostrava-město, Moravskoslezský kraj


Podobné nabídky v okolí


Volná pracovní místa ExpertPrace.cz
  • Objednání prohlídky a více informací
  •  
  • Poslat na e-mail
  •  

Zasílání odkazu na realitu emailem: