• Sledovat cenu
  •  

Zasílání upozornění emailem:

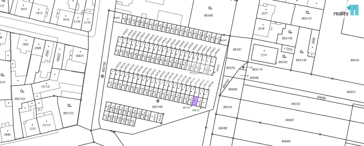
Prodej garáže 20 m2 - Na Měkovině, Kolín (již není v nabídce)

Cena: 450 000 Kč
Stav:archiv
20 m2, cihlová
Popis: Zprostředkuji vám prodej garáže, o výměře 18 m², která je situována ve zděném bloku garáží v ulici Na Měkovině, Kolín V. Garáž se zavedenou elektřinou má dvoukřídlá, plechová vrata, zateplená polystyrenovými deskami. P...řed 2 lety byla vyměněna plechová střecha. Vrata jsou jištěna třemi zámky.
Výška vjezdu 1, 85 m, šířka vjezdu 2, 06 m. Vnitřní výška garáže 2, 09 m. Ev. číslo: 24836.
  • Vložení inzerátu:
    12.11.2022
  • Kód:
    3392780
  • Typ nemovitosti:
    Garáž
  • Typ budovy:
    Cihlová
  • Podlahová plocha:
    20 m2
  • Stav objektu:
    Dobrý
  • Nabídky v okolí:
  • Informace o obci:
    Obec Kolín má 30927 obyvatel, z toho 21374 v produktivním věku.
    V obci se nachází pošta.
    V obci se nachází škola, popř. školka.
    V obci se nachází zdravotní zařízení.
    V obci je rozvod kanalizace.
    V obci je rozvod městské vody.
    V obci je rozvod plynu.

Podobné nabídky v okolí

Lokalita: Na Měkovině , Kolín, okres Kolín, Česká republika Na Měkovině, Kolín