• Sledovat cenu
  •  

Zasílání upozornění emailem:

Pozemek k bydlení 9668 m2 - Buštěhrad, okr. Kladno (již není v nabídce)

Cena: 9 650 000 Kč
Stav:archiv
parcela: 9668m2
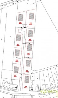
Popis: Větší stavební pozemek určený územním plánem pro výstavbu rodinných domů v obci Buštěhrad, okres Kladno. Pozemek má výměru 9668 m2 a je obdélníkového tvaru. Předmětem prodeje je pozemek č. 101, 2081, 2088, ...2089 v k. ú. Buštěhrad. Je umístěn na moc hezkém, exkluzivním a klidném místě. K pozemku je přístup z obecní, asfaltové komunikace a je částečně zasíťovaný. Orientace jihozápad. V nedalekém sousedství je nová zástavba rodinných domů. Výborná dostupnost do Prahy autem nebo 20 min. busem Nádraží Veleslavín. V obci ZŠ, MŠ, pošta, obecní úřad, policie, sokolovna, pekárna, potraviny, kadeřnictví, restaurace, cukrárna atd. Vyhledávaná lokalita na samé hranici Prahy, čistý vzduch, moc hezké procházky. Top adresa.
  • Vložení inzerátu:
    19.5.2020
  • Kód:
    0158
  • Typ nemovitosti:
    Pozemek k bydlení
  • Umístění objektu:
    Centrum
  • Podle vyhlášky:
    c. 78/2013 Sb.
  • Nabídky v okolí:
  • Informace o obci:
    Obec Buštěhrad má 2835 obyvatel, z toho 1950 v produktivním věku.
    V obci se nachází pošta.
    V obci se nachází škola, popř. školka.
    V obci se nachází zdravotní zařízení.
    V obci je rozvod kanalizace.
    V obci je rozvod městské vody.
    V obci je rozvod plynu.

Podobné nabídky v okolí

Lokalita: Buštěhrad, okres Kladno, Česká republika Buštěhrad, okr. Kladno, Středočeský kraj