• Sledovat cenu
  •  

Zasílání upozornění emailem:

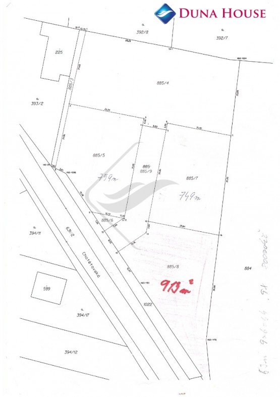
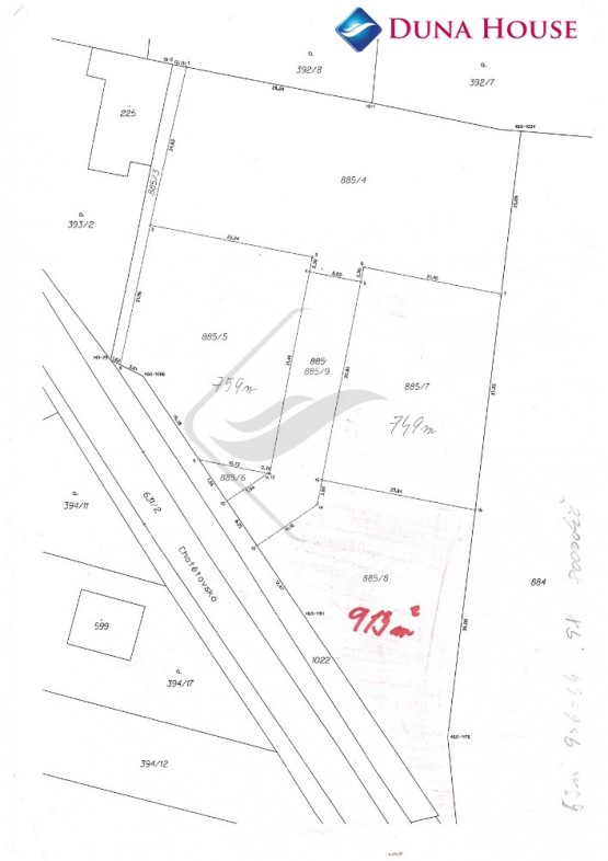
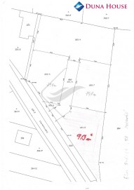
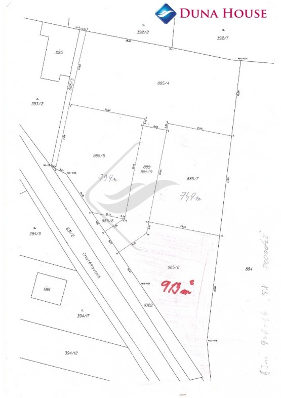
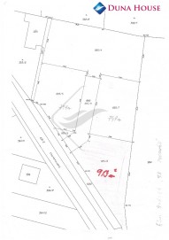
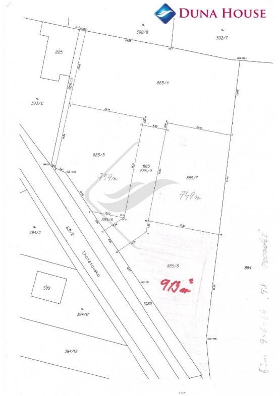
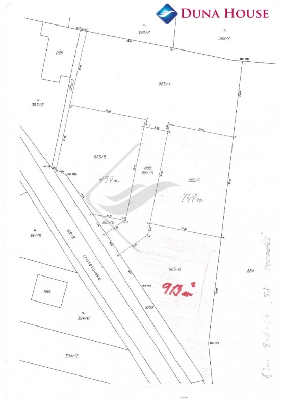
Pozemek k bydlení 913 m2 - Chotětovská, Bezno, okr. Mladá Boleslav

Cena: 4 199 800 Kč
Stav:Volný
parcela: 913 m2
Popis: Nově nabízíme k prodeji stavební pozemek o výměře 913 m², který se nachází v klidné a příjemné lokalitě v Mladé Boleslavi, konkrétně v obci Bezno. Pozemek je rovinatý, kompletně zasíťovaný – elektro, vodovod a optický ka...bel, což zajišťuje maximální komfort pro budoucí stavbu.

Vlastnosti pozemku:
• Výmera: 913 m²
• Rovinatý terén
• Kompletní inženýrské sítě (elektro, vodovod, optický kabel)

Lokalita:
• Velmi klidná a atraktivní lokalita, 15 km od Mladé Boleslavi
• Skvělé napojení na Prahu
• Veškerá občanská vybavenost v dosahu: obchody, škola, školka, restaurace

Pozemek je ideální pro rodinný život v blízkosti hlavního města, s vynikajícím spojením na dálnici.

Pokud vás naše nabídka zaujala, neváhejte se ozvat a rádi vám poskytneme další informace & fotky.
  • Vložení inzerátu:
    21.1.2025
  • Kód:
    3924309
  • Typ nemovitosti:
    Pozemek k bydlení
  • Plocha parcely:
    913 m2
  • Umístění objektu:
    Okraj
  • Nabídky v okolí:
  • Informace o obci:
    Obec Bezno má 855 obyvatel, z toho 594 v produktivním věku.
    V obci se nachází pošta.
    V obci se nachází škola, popř. školka.
    V obci se nachází zdravotní zařízení.
    V obci je rozvod kanalizace.
    V obci je rozvod městské vody.
Lokalita: Chotětovská , Bezno, okres Mladá Boleslav, Česká republika Chotětovská, Bezno, okr. Mladá Boleslav


Podobné nabídky v okolí


Volná pracovní místa ExpertPrace.cz
  • Objednání prohlídky a více informací
  •  
  • Poslat na e-mail
  •  

Zasílání odkazu na realitu emailem: