• Sledovat cenu
  •  

Zasílání upozornění emailem:

Pozemek k bydlení 866 m2 - Na Výsluní, Volyně, okr. Strakonice (již není v nabídce)

Cena: 2 300 000 Kč
Stav:archiv
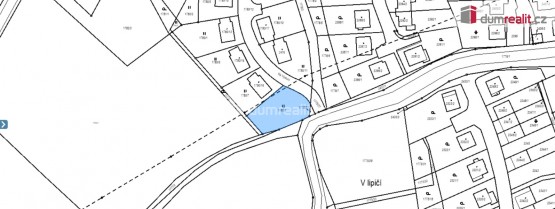
parcela: 866m2
Popis: Dumrealit. cz Vám nabízí prodej stavebního pozemku na kouzelné Šumavě, konkrétně jde o město Volyně. Známá lokalita rekreační oblasti blízko centrální Šumavy a známých Hoštic. Ve městě najdete veškerou občanskou vybavenost.... Parcela je rovinatá v klidné části obce a má 866 m². Je možné se připojit na veškeré sítě - elektřina, vodovod , kanalizace a plyn. Na pozemek vede asfaltová komunikace a nachází se v klidné části města s dobrým přístupem do centra. V okolí je dostatek přírody a zároveň je zde vystaveno již několik novostaveb. Tato nemovitost tak může posloužit jak výstavbu Vašeho nového domova, nebo třeba jako výhodná investice do budoucna. Na vyžádání mohu poslat UPI. Tato nemovitost lze financovat hypotečním úvěrem, který pro Vás vyřídíme zdarma. Pro více informací kontaktujte makléře. Ev. číslo: 646511.
  • Vložení inzerátu:
    25.7.2024
  • Kód:
    3830023
  • Typ nemovitosti:
    Pozemek k bydlení
  • Nabídky v okolí:
  • Informace o obci:
    Obec Volyně má 3089 obyvatel, z toho 2179 v produktivním věku.
    V obci se nachází pošta.
    V obci se nachází škola, popř. školka.
    V obci se nachází zdravotní zařízení.
    V obci je rozvod kanalizace.
    V obci je rozvod městské vody.
    V obci je rozvod plynu.

Podobné nabídky v okolí

Lokalita: Na Výsluní , Volyně, okres Strakonice, Česká republika Na Výsluní, Volyně, okr. Strakonice