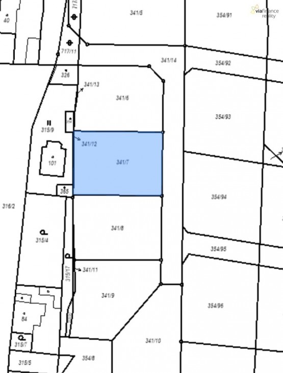
Pozemek k bydlení 815 m2 - Kunětice , okr. Pardubice (již není v nabídce)
            
            
                
        Cena:
                        4 890 000 Kč
        
              Stav:archiv
        
         
          
          
                parcela: 815m2          
        
        Popis:
        
                                Exkluzivně Vám nabízíme prodej stavebního pozemku na rovinatém terénu pro výstavbu rodinného domu v obci Kunětice,  který je kompletně zasíťovaný.  
Obec disponuje bezproblémovou dopravní dostupností (zastávka MHD u mostu,  ...nebo pravidelná autobusová linka) Pardubice 6 km a Hradec Králové 17 km. 
Kunětice je malá obec,  kde žije cca 360 obyvatel.  Najdeme zde potraviny,  pohostinství,  Pizza Kunětice a osvěžit se můžete vyhlášenou točenou zmrzlinou. 
Ostatní občanská vybavenost (MHD,  MŠ,  ZŠ,  lékař,  pošta,  obchody,  služby) je v nedalekých zhruba 2 km vzdálených Sezemicích. 
            
            
    - Vložení inzerátu:30.10.2022  
- Kód:00997  
- K dispozici od:0.0.0  
- Typ nemovitosti:Pozemek k bydlení  
- Voda:dálkový vodovod  
- Elektřina:230 V  
- Doprava:silnice, dálnice, MHD, autobus  
- Plyn:plynovod  
- Odpad:kanalizace  
- Informace o obci:Obec Kunětice  má 277 obyvatel, z toho 208 v produktivním věku.
 V obci je rozvod městské vody.
 V obci je rozvod plynu.