• Sledovat cenu
  •  

Zasílání upozornění emailem:

Pozemek k bydlení 801 m2 - Čížová, okr. Písek (již není v nabídce)

Cena: 2 190 000 Kč
Stav:archiv
parcela: 801 m2
Popis: V zastoupení majitele nabízíme k prodeji pozemek v Krašovicích o celkové výměře 801 m². Krašovice se nachází 2 km od Čížové a cca 7 km od Písku. Jedná se o malebnou vesnici s cca 70 obyvateli.

Základní informace o pozemk...u:

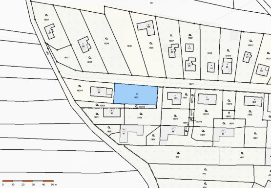
Lokalita: Krašovice, pozemek č. 197/2
Výměra: 801 m²
Pozemek není v památkové zóně, na pozemku je možné stavět.
Místní omezení: sedlová nebo polovalbová střecha, maximálně 2 nadzemní podlaží, dodržení výšky sousedních objektů a uliční čáry.

Infrastruktura:
Elektřina: Na pozemku se nachází vyzděná kaplička, zavedena elektřina, odběrné místo s jističem 3 krát 25A, smlouva se spol. Eon.
Voda: Přibližně 5 m od pozemku se nachází uzávěr obecní vody, je možnost zřízení přípojky.
Plyn: V cestě okolo pozemku vede plynovod STL.
Čistička: Na pozemku je povoleno zřízení domovní čističky se vsakem pro novostavby.

Přístupová cesta:
K pozemku náleží podíl na příjezdové cestě, která je nyní uježděná nezpevněná. Její finální povrch je nyní v řešení.

Oplocení a údržba:
Pozemek je udržovaný, pravidelně sekaný. Oplocený zespoda a zleva.

Dokumentace k pozemku:
K pozemku je k dispozici dokumentace, která obsahuje:
Měření radonu
Povodňová zpráva
Nový geometrický plán a další
  • Vložení inzerátu:
    8.2.2025
  • Kód:
    3940857
  • Typ nemovitosti:
    Pozemek k bydlení
  • Vlastnictví:
    OV
  • Plocha parcely:
    801 m2
  • Umístění objektu:
    Klidná část
  • Voda:
    dálkový vodovod
  • Odpad:
    ČOV
  • Nabídky v okolí:
  • Informace o obci:
    Obec Čížová má 1053 obyvatel, z toho 714 v produktivním věku.
    V obci se nachází pošta.
    V obci se nachází zdravotní zařízení.
    V obci je rozvod městské vody.
    V obci je rozvod plynu.

Podobné nabídky v okolí

Lokalita: Čížová, okres Písek, Česká republika Čížová, okr. Písek, Jihočeský kraj