• Sledovat cenu
  •  

Zasílání upozornění emailem:

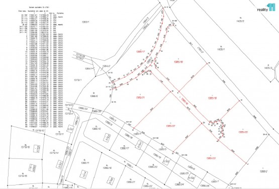
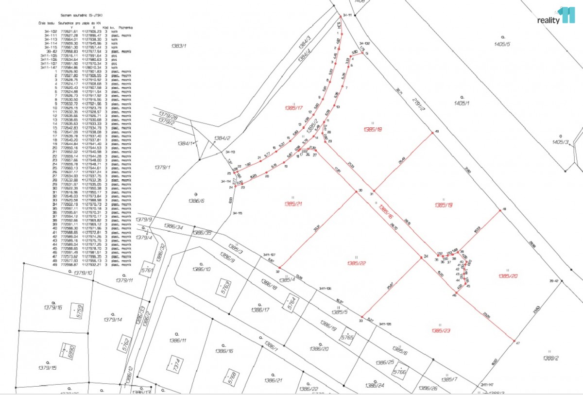
Pozemek k bydlení 5935 m2 - Budějovické Předměstí , Písek, okr. Písek

Cena: 1 250 Kč/m2
Stav:Volný
parcela: 5935m2
Popis: Na prodej v exklusivním zastoupení lukrativní stavení pozemek určený k výstavbě rekreačních staveb, chat a zahrádkářských osad. Písek, Pod Amerikou.
Pozemek je možné pořídit v různých velikostech od cca 400 m² za 1500, ...- Kč/ m² po téměř 6000 m² za 1250, - Kč/ m².

Na pozemku je vodovod, i elektrika viz obrázek inženýrských sítí.

Informace z Územního plánu:

REKREACE – ZAHRÁDKÁŘSKÉ OSADY (RZ)

a) převažující účel využití -
rodinná rekreace formou zahrádek, zahrádkářských osad a kolonií, kde mohou být povolovány stavby
b) přípustné - - -
plochy zahrádek (ZPF) sloužící pro individuální zemědělskou činnost, tj. pěstování zeleniny, ovoce,
květin, okrasných rostlin apod. pouze pro vlastní potřebu
oplocení zemědělské půdy (zahrad a sadů) za účelem ochrany úrody
nezbytná dopravní a technická infrastruktura
c) podmíněně přípustné -
plochy staveb pro rodinnou rekreaci, např. chaty, rekreační a zahradní domky a další stavby
a zařízení, které souvisejí s rodinnou rekreací za podmínky, že výměra zastavěné plochy (do které se
započítávají zpevněné terasy zastřešené i nezastřešené) nepřesáhne 13 % z celkové výměry
předmětného pozemku, zároveň však maximálně 60 m², v případě pozemků o rozloze větší než
500 m² je tato maximální výměra stanovena na 100 m²
d) podmínky prostorového uspořádání
36/47
-
výška objektů nepřekročí 1, 0 NP s výškou okapové hrany max. 3, 0 m od přilehlého terénu a výškou
hřebene max. 6, 0 m, jedním podzemním podlažím do hloubky max. 3, 0 m - - -
navrhované objekty a zařízení dle odstavce c) mohou být v zastavitelných plochách umístěny nejblíže
25 metrů od hranice PUPFL, doplňkové stavby jako pergoly, zpevněné plochy a oplocení pak nejblíže
5 metrů od hranice PUPFL, což platí i pro pozemek p. č. 1627/12 a 1624/58 v k. ú. Písek avšak s tím,
že uvedené doplňkové stavby mohou v celkovém součtu dosáhnout max. 75 m²
v případě oddělení části pozemku, na kterém je již realizována nebo povolena rekreační stavba,
nebude na této nově oddělené části povolena další stavba s výjimkou oplocení a nezbytné dopravní
a technické infrastruktury a s výjimkou pozemku p. č. 1716/1 v k. ú. Písek, který lze rozdělit na dva díly
s tím, že i na oddělené části bude připuštěna stavba dle odstavce c) max. 75 m²
změna využití plochy Z. 19 bude postupná, tj. formou postupné etapizace zástavby, a to ve směru od
ploch již využívaných stejným způsobem směrem do volné krajiny, a to min. ve třech etapách
e) nepřípustné -
všechny ostatní výše neuvedené funkce a činnosti


Rád vám v případě Vaší potřeby nabídnu také výhodné financování. Neváhejte mě kontaktovat s případnými dotazy.

Tento inzerát není závaznou nabídkou inzerenta, podmínky prodeje se mohou v jeho průběhu měnit. Ev. číslo: 26767.
Lokalita: Budějovické Předměstí , Písek, okres Písek, Česká republika Budějovické Předměstí , Písek, okr. Písek, Jihočeský kraj

Kontakt

Roman Dufek


Podobné nabídky v okolí


Volná pracovní místa ExpertPrace.cz
  • Objednání prohlídky a více informací
  •  
  • Poslat na e-mail
  •  

Zasílání odkazu na realitu emailem: