• Sledovat cenu
  •  

Zasílání upozornění emailem:

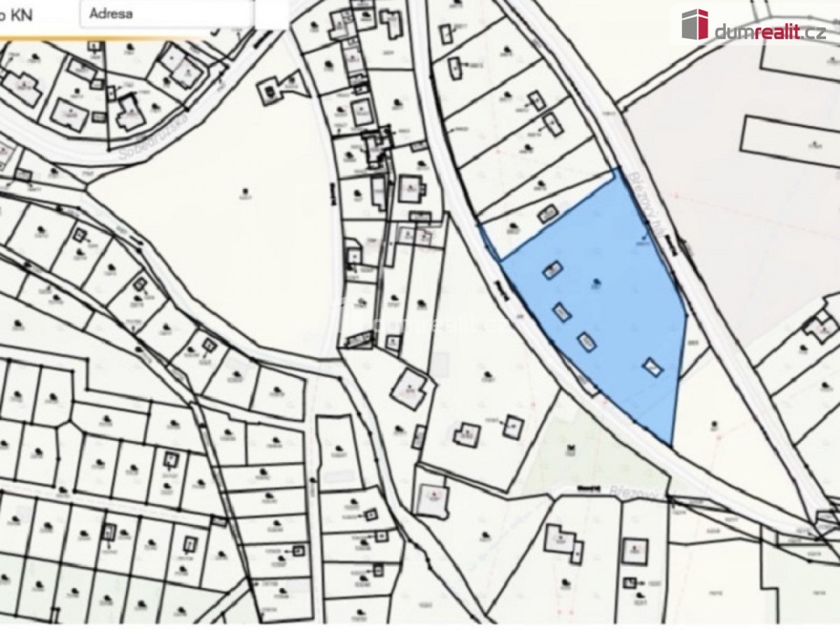
Pozemek k bydlení 5018 m2 - Proboštov , okr. Teplice

Cena: 2 250 Kč/m2
Stav:Volný
parcela: 5018m2
Popis: Dumrealit. cz Vám nabízí prodej stavebního pozemku v klidné části obce Proboštov

Nabízíme k prodeji rovinatý pozemek určený k výstavbě rodinného domu o celkové výměře 5 018 m². Pozemek se nachází v lokalitě která je ideální... pro klidné rodinné bydlení.

Hlavní přednosti:
- Výměra: 5 018 m²
- Účel: bydlení
- Voda: na pozemku je 5 studní
- Elektřina: na hranici pozemku (možnost napojení až na 10 domů)
- Vlastnictví: osobní
- Klidná část obce s dobrou občanskou dostupností
- Možnost odkupu části pozemku pro vyměření vlastní parcely — nabízíme flexibilní řešení; při odkupu celého pozemku je možná individuální dohoda o ceně a podmínkách

Pozemek je vhodný pro výstavbu více rodinných domů s prostornou zahradou

Pro více informací a sjednání prohlídky mě kontaktujte. Rychlé jednání vítáno. Ev. číslo: 655169.
  • Vložení inzerátu:
    28.3.2026
  • Kód:
    4179905
  • Typ nemovitosti:
    Pozemek k bydlení
  • Elektřina:
    380 V
  • Nabídky v okolí:
  • Informace o obci:
    Obec Proboštov má 2606 obyvatel, z toho 1881 v produktivním věku.
    V obci se nachází pošta.
    V obci se nachází škola, popř. školka.
    V obci se nachází zdravotní zařízení.
    V obci je rozvod kanalizace.
    V obci je rozvod městské vody.
    V obci je rozvod plynu.
Lokalita: Proboštov , okres Teplice, Česká republika Proboštov , okr. Teplice, Ústecký kraj

Kontakt

Ivana Rambousková


Podobné nabídky v okolí


  • Objednání prohlídky a více informací
  •  
  • Poslat na e-mail
  •  

Zasílání odkazu na realitu emailem: