• Sledovat cenu
  •  

Zasílání upozornění emailem:

Pozemek k bydlení 2472 m2 - Běstvina , okr. Chrudim (již není v nabídce)

Cena: 1 932 600 Kč
Stav:archiv
parcela: 2472m2
Popis: Dobrý den, uvažujete o výstavbě vlastního domu a hledáte pozemek v lokalitě, která není typicky satelitní? Máte představu o větší zahradě s orientací do klidné části nebo přímo zeleně? Požadujete, aby měl pozemek dobrou do...stupnost inženýrských sítí? Hledáte lokalitu, která bude poskytovat i základní občanskou vybavenost?

Možná právě Vás by mohla zaujmout naše nová nabídka. Jedná se o prodej celkem 4 pozemků, které se nachází v obci Běstvina v okrese Chrudim. Obec Běstvina nabízí základní občanskou vybavenost, kterou je pošta, mateřská škola, zdravotní středisko, fotbalové hřiště, dva obchody, dva hostince a další drobnější služby. Další služby se nacházejí v 5 km vzdálené Třemošnici, 10 km vzdáleném Ronově nad Doubravou, 23 km vzdálené Čáslavi. Do okresní Chrudimi dojedete autem za 30 minut a například do Havlíčkova Brodu také za 30 minut.

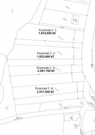
Pozemek č. 1 o výměře 2243 m2 s cenou 1. 814. 950 Kč.
Pozemek č. 2 o výměře 2472 m2 s cenou 1. 932. 600 Kč.
Pozemek č. 3 o výměře 2431 m2 s cenou 2. 207. 750 Kč.
Pozemek č. 4 o výměře 2143 m2 s cenou 2. 317. 550 Kč.

Důvodem nižší ceny i v případě větší výměry je, že každý pozemek se skládá ze dvou částí. Přední část je určena k výstavbě a druhá jako nestavební zahrada. To znamená, že pozemek s nižší výměrou, ale vyšší cenou má větší podíl stavební části oproti nestavební a naopak.

Hlavní přední část každého pozemku je územním plánem určena k výstavbě s funkčním využitím BV bydlení v rodinných domech
venkovské.
Podmínky prostorového uspořádání a ochrana krajinného rázu:
- výšková regulace zástavby u staveb pro bydlení výška staveb nepřesáhne výškovou hladinu
sousední zástavby, max. však 1. NP (první nadzemní patro) a podkroví, u staveb ostatních výška nepřesáhne 10 m, kromě
staveb technické infrastruktury,
- struktura zástavby izolované RD (rodinný dům), dvojdomy, respektován bude architektonický charakter tradiční
zástavby a urbanistické uspořádání,
- výměra stavebních pozemků min. 800 m2, intenzita jejich využití celkem max. 40 %.

Na pozemcích jsou předpřipraveny 3 přípojky k obecnímu vodovodu, který vede přes zadní část pozemků. Aktuálně se buduje připojení pro jeden dům k distribuční soustavě z nízkého napětí (ČEZ Distribuce, a, s. ) s dimenzí sítě pro výstavbu dalších domů. Středotlaký plynovod vede kolem pozemku. V obci není kanalizace.

Pro další informace mě prosím kontaktujte. Děkuji za pozornost. Václav Růžička, realitní specialista.

Prodávající si vyhrazuje právo na výběr kupujícího dle vlastní úvahy (záměru kupujícího, serióznosti jednání, způsobu úhrady kupní ceny apod. ).
  • Vložení inzerátu:
    26.3.2025
  • Kód:
    XA-433B
  • Typ nemovitosti:
    Pozemek k bydlení
  • Voda:
    dálkový vodovod
  • Bezbariérový přístup:
    Ano
  • Informace o obci:
    Obec Běstvina má 522 obyvatel, z toho 345 v produktivním věku.
    V obci se nachází pošta.
    V obci je rozvod městské vody.
    V obci je rozvod plynu.

Podobné nabídky v okolí

Lokalita: Běstvina , okres Chrudim, Česká republika Běstvina , okr. Chrudim, Pardubický kraj