Pozemek k bydlení 2269 m2 - Libhošť, okr. Nový Jičín (již není v nabídce)
            
            
                
        Cena:
                        2 790 000 Kč
        
              Stav:archiv
        
         
          
          
                parcela: 2269m2          
        
        Popis:
        
                                Máme pro Vás jedinečnou příležitost s rozmanitými možnostmi a výhledy po okolí. 
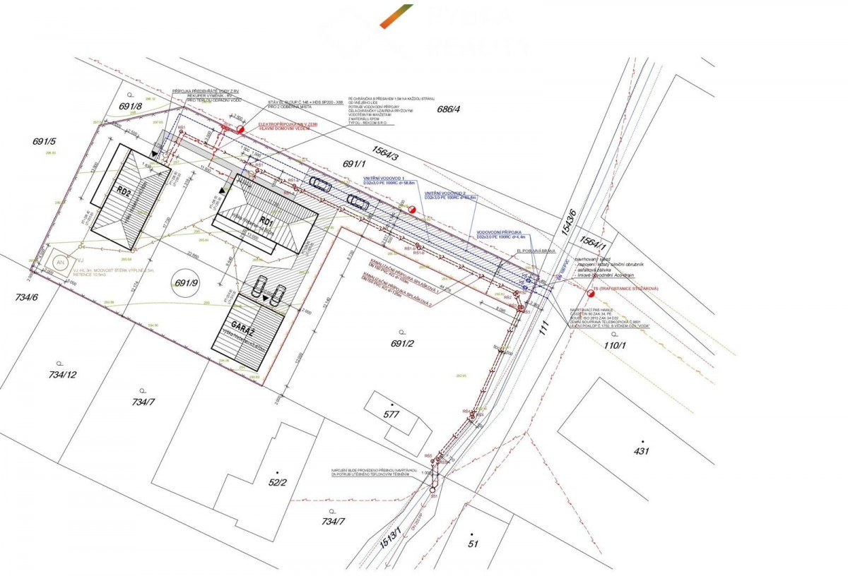
Nabízíme k prodeji stavební  parcelu o výměře 2269 m2 v obci Libhošť. 
Pozemek je v územním plánu obce schválen k výstavbě rodinnýc...h domů. 
Na pozemku již vybudovaná elektrická přípojka,  v ceně jsou zahrnuty projekty na vodovod a kanalizaci,  které jsou v dosahu. 
Pokud je pro vás pozemek velký a hledáte něco menšího,  nezoufejte  -  k  pozemku je zpracovaný geometrický plán k rozdělení na dvě samostatné parcely o výměře 958 m2 a 959 m2 s podílovým vlastnictvím na příjezdové cestě (znázorněno na fotografii). 
Součástí nabídky i ceny je také projekt na rodinný dům typu bungalov 4+kk s garáží. 
Pozemek se nachází pouhých 5 km od Nového Jičína v obci Libhošť s bezproblémovým přístupem k dálnici v obou směrech. 
V obci se nachází veškerá občanská vybavenost včetně školy i školky,  což činí tuto lokalitu ideální pro rodiny s dětmi. 
Nabízíme také možnost financování nákupu a případné stavby rodinného domu prostřednictvím našeho hypotečního centra,  včetně vyřízení veškerých formalit. 
Pro více informací neváhejte kontaktovat makléřku. 
            
            
    - Vložení inzerátu:
7.6.2024 
     - Kód:
2207 
     - K dispozici od:
0.0.0 
     - Typ nemovitosti:
Pozemek k bydlení 
 
    
    
            
    
                
    
                            
    
            - Umístění objektu:
Klidná část 
         
                - Doprava:
silnice, dálnice, autobus, vlak 
 
                - Komunikace:
asfaltová 
 
            
            
    - Nabídky v okolí:
 
- Informace o obci:
Obec Libhošť má 1592 obyvatel, z toho 1118 v produktivním věku.
V obci se nachází pošta.
V obci se nachází škola, popř. školka.
V obci se nachází zdravotní zařízení.
V obci je rozvod kanalizace.
V obci je rozvod městské vody.
V obci je rozvod plynu.