• Sledovat cenu
  •  

Zasílání upozornění emailem:

Pozemek k bydlení 1725 m2 - Libeň , Libeř, okr. Praha-západ

Cena: 9 990 000 Kč
Stav:Volný
parcela: 1725m2
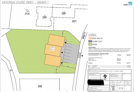
Popis: Neplatíte provizi RK. Jednat budete přímo s majitelem nemovitosti. . Reality 11 Vám zprostředkují prodej stavebního pozemku, který se nachází v obci Libeň u Libře na Praze Západ cca 2 km od Dolních Břežan.

Pozemek se na...chází na moc hezkém, slunném a rovinném místě.
V blízkosti se nachází autobusová zastávka MHD č. 341, 362.

Na pozemku je elektroměrový pilíř s přípojkou elektřiny.
K vodě a kanalizaci je vypracován schválený projekt pro připojení na veřejnou síť, která je v přilehlé komunikaci.
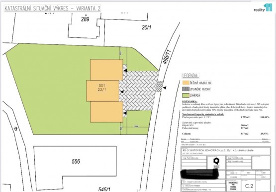
Již máme vypracovanou studii pro výstavbu rodinného domu o třech bytových jednotkách, ale je dle územního plánu možnost stavby pro bydlení v rodinných domech, možná drobná občanská vybavenost, nerušící služby, zařízení do 20 - ti lůžek, nepřípustné jsou bytové domy.

Neplatíte žádnou provizi RK, jednáte přímo s majitelem.

V případě zájmu o více informací, volejte na tel. 603 174 220 nebo pište na níže uvedený email. Ev. číslo: 27781.
  • Vložení inzerátu:
    27.1.2026
  • Kód:
    4085237
  • Typ nemovitosti:
    Pozemek k bydlení
  • Umístění objektu:
    Klidná část
  • Elektřina:
    380 V
  • Nabídky v okolí:
Lokalita: Libeň , Libeř, okres Praha-západ, Česká republika Libeň , Libeř, okr. Praha-západ, Středočeský kraj

Kontakt

Darina Smetanová - Pracovní doba: PONDĚLÍ - PÁTEK OD 9:00-17.00 HOD
Objednání prohlídky a více informací


Podobné nabídky v okolí


  • Objednání prohlídky a více informací
  •  
  • Poslat na e-mail
  •  

Zasílání odkazu na realitu emailem: