• Sledovat cenu
  •  

Zasílání upozornění emailem:

Pozemek k bydlení 1500 m2 - Štěnovický Borek, okr. Plzeň-město (již není v nabídce)

Cena: 2 955 000 Kč
Stav:archiv
parcela: 1500m2
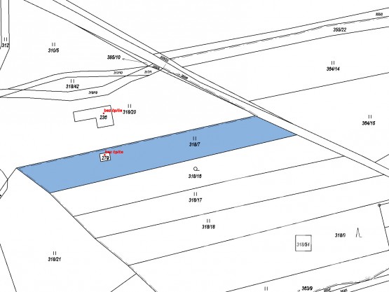
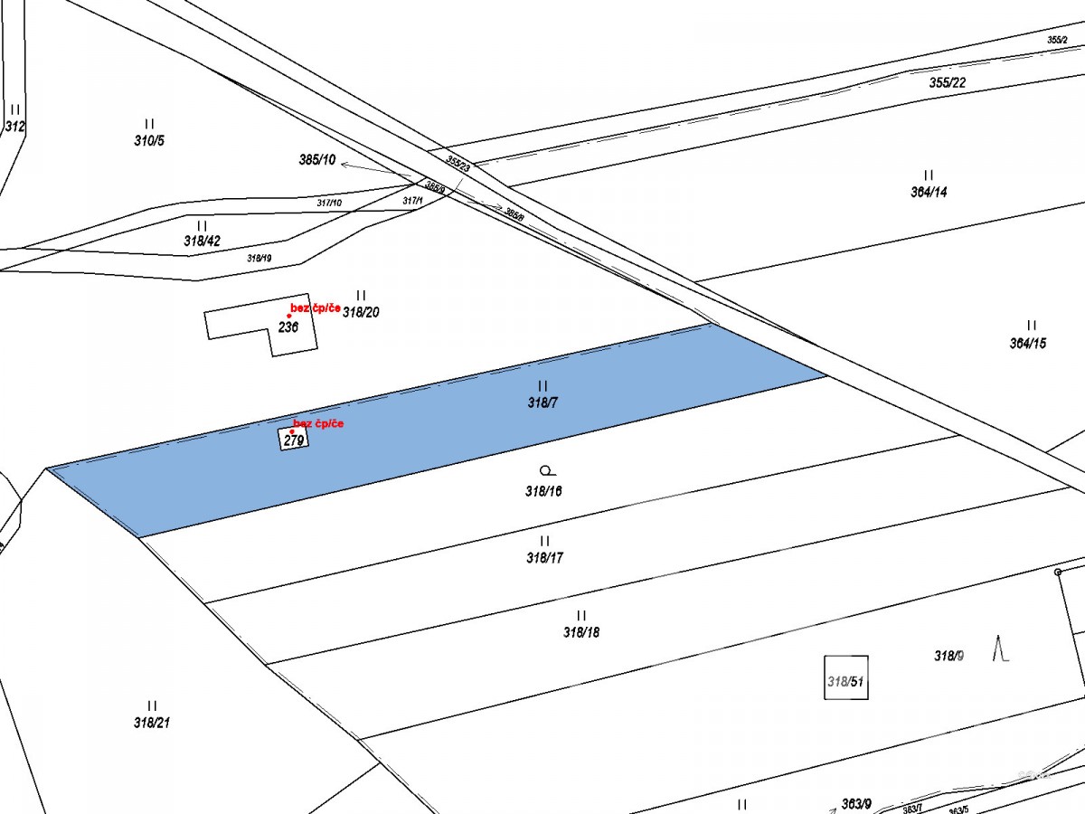
Popis: Kopta reality zajišťuje prodej pozemku o celkové ploše 1. 500 m2. Jedná se o parcelu č. 318/7 a parcelu č. 279 obě vedené v katastru a obci Štěnovický Borek, okres Plzeň - město. Lokalita má vynikající dost...upnost do Plzně, nachází se cca 7 min jízdy jižně od OC Olympia a na dálnici D5 (Praha - Plzeň - Rozvadov). Pozemek je určen k výstavbě domu (jedno podzemní a jedno nadzemní patro s podkrovím) a to k individuální rekreaci - RI, kdy podíl zeleně musí tvořit minimálně 60% z celku - dle vyjádření stavebního úřadu Štěnovice. Na pozemku je již menší zděná stavba pro rekreaci a na úschovu zahradního nářadí. K pozemku je přivedena elektřina (el. sloupek před vjezdem), dále je zde možnost následného připojení na obecní kanalizaci (kan. přípojku k pozemku zajišťuje dle schváleného projektu obec z nedaleké obecní ČOV (osobní vlastnictví)) a možnost připojení na obecní vodovod (rozvody vody v komunikaci z nedaleké vodárny).

Příjezdová cesta je po obecní komunikaci (kus po asfaltové cestě a kus po zpevněné cestě). Obec je součástí okresu Plzeň - město, jezdí sem integrovaná doprava, pravidelný autobusový spoj. Veškerá vybavenost je jak v samotné obci Štěnovický Borek, tak ve spádové obci Štěnovice - školka, škola, coop potraviny, restaurace, bowling, obecní úřad, fotbalové a dětské hřiště. Doporučujeme pro klienty, kteří hledají klidné bydlení na okraji obce, s rychlou dostupností do Plzně. Více info u makléře. Zajistíme výhodný hypoteční úvěr od spolupracujících bankovních institucí.
  • Vložení inzerátu:
    27.6.2021
  • Kód:
    0256
  • Typ nemovitosti:
    Pozemek k bydlení
  • Zastavěná plocha:
    16 m2
  • Umístění objektu:
    Okraj
  • Voda:
    místní zdroj, dálkový vodovod
  • Elektřina:
    230 V, 380 V
  • Doprava:
    silnice, autobus
  • Odpad:
    kanalizace
  • Energetická náročnost:
    G - Mimořádne nehospodárná
  • Podle vyhlášky:
    c. 148/2007 Sb
  • Nabídky v okolí:
  • Informace o obci:
    Obec Štěnovický Borek má 448 obyvatel, z toho 302 v produktivním věku.
    V obci je rozvod kanalizace.
    V obci je rozvod městské vody.
    V obci je rozvod plynu.

Podobné nabídky v okolí

Lokalita: Štěnovický Borek, okres Plzeň-město, Česká republika Štěnovický Borek, okr. Plzeň-město, Plzeňský kraj