Pozemek k bydlení 1281 m2 - Polní, Šťáhlavy, okr. Plzeň-město
            
            
                
  Cena:
          5 920 000 Kč
    
          Stav:Volný
    
   
     
         
         
         parcela: 1281m2      
        
        Popis:
      
                      Hledáte opravdu velký pozemek v těsné blízkosti západočeské metropole? Možná jste ho právě našli. 
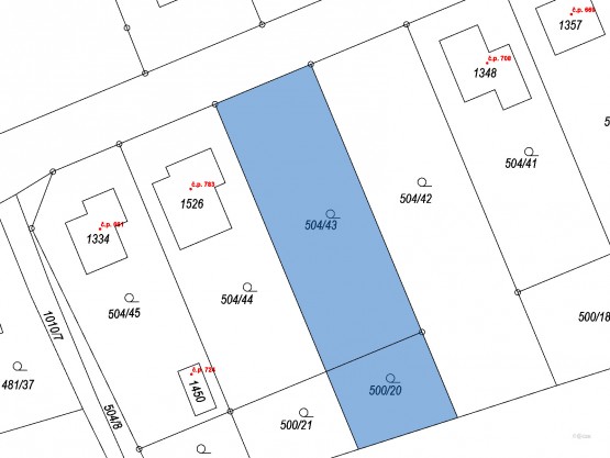
Kopta reality nabízí k prodeji větší,  rovinatý pozemek o ploše 1. 281 m2 a to na adrese ul.  Polní,  Šťáhlavy,  o...kres Plzeň - město.  Tato klidná lokace je ideální jak pro rodiny s dětmi,  tak pro klidné seniorské bydlení.  Velikost pozemku vybízí k výstavbě většího domu,  bazénu a dostatku parkovacích míst.  Na pozemek je již do el.  sloupku přivedena elektřina 230 V,  380 V a dále vodovodní přípojka z řadu.  Kanalizace je v přilehlé komunikaci.  Pozemek je mimo záplavové území.  Na již zhotovené komunikaci jsou připravena 2 - 3 veřejná stání.  Pozemek je z pravé strany (pohled od ulice) oplocen,  na této straně je již vystavěn rodinný dům.  Po levé straně je zatím prázdný pozemek bez zástavby.  Zadní strana pozemku je ohraničena polem a blízkým lesoparkem/ alejí.  Silniční provoz je minimální ,  jedná se o "slepou silnici" pouze pro místní obyvatele. 
Majitel má již zpracovaný projekt na výstavbu nízkopodlažního ,  nepodsklepeného domu 4+kk o zast.  ploše cca 150 m2.  Cena projektu je již v ceně,  nicméně není nutné jej samozřejmě realizovat či využít.  V blízkosti se nachází škola,  školka,  zdravotnická zařízení,  pošta.  Vlakové nádraží cca 0, 5 km od domu.  Obchodní centrum OC Olympie pouhých 7 minut jízdy autem.  Velmi rychlé a časté spojení do Plzně a na dálnici D5 Praha  -  Plzeň  -  Rozvadov.  Okolí Šťáhlav a vůbec celý JV směr od Plzně je krásnou,  rekreační lokalitou s dominantou hradu Radyně,  zámku Kozel a hlubokými lesy pro pěčí turistiku,  cykloturistiku a další sportovní vyžití. 
Dle informací ze stavebně správního odboru je dle stávajícího územního plánu jediná prostorová regulace ta,  že objekt může mít maximálně 2 nadzemní podlaží. 
Při platbě v hotovosti,  rychlém jednání je majitel ochoten jednat o ceně. 
Budu se na Vás těšit na prohlídce pozemku. 
Jan Kopta,  DiS. 
makléř a jednatel Kopta reality s. r. o. 
           
          
    - Vložení inzerátu:
20.9.2023 
     - Kód:
0330 
         - Typ nemovitosti:
Pozemek k bydlení 
 
    
    
            
    
                
    
                            
    
            - Umístění objektu:
Klidná část 
         
    - Telekomunikace:
Internet 
     - Voda:
dálkový vodovod 
     - Elektřina:
230 V 
     - Doprava:
silnice, dálnice, MHD, autobus, vlak 
 
            - Odpad:
kanalizace 
     - Komunikace:
asfaltová 
 
            
            
    - Nabídky v okolí:
 
- Informace o obci:
Obec Šťáhlavy má 2239 obyvatel, z toho 1505 v produktivním věku.
V obci se nachází pošta.
V obci se nachází zdravotní zařízení.
V obci je rozvod kanalizace.
V obci je rozvod městské vody.
V obci je rozvod plynu.
 
 
          
         
    Lokalita:
    
        Polní , Šťáhlavy, okres Plzeň-město, Česká republika
        
                                                                                                                                                                                                                                                         Polní, Šťáhlavy, okr. Plzeň-město