• Sledovat cenu
  •  

Zasílání upozornění emailem:

Pozemek k bydlení 1051 m2 - Chmelová 1, Sulice, okr. Praha-východ (již není v nabídce)

Cena: 3 520 850 Kč
Stav:archiv
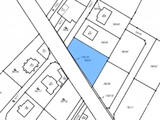
parcela: 1051m2
Popis: Nabízím exkluzivně k prodeji rovinatý pozemek v srdci Ladova kraje, parc. číslo 760/37 o celkové výměře 1051m2 a nepravidelném tvaru o délce stran (13m - 43m - 35m - 48m). Pozemek se nachází na okraji loka...lity zástavby nových rodinných domů v k. ú. Sulice, na hranici části obce Hlubočinka. Dle územního plánu je pozemek určen jako plocha SV - plochy smíšené obytné. Z inženýrských sítí je zřízena na pozemku přípojka elektřiny, vodovodu a tlakové kanalizace, podél pozemku vedeno plynové vedení (možnost vybudovat přípojku na pozemek). Na pozemku se také nachází vrtaná studna. Přístup na pozemek je veden po místní asfaltové komunikaci. Do centra Prahy je to 30 minut autem. Spojení MHD je autobusem na metro Budějovická a trvá 40 minut. V Sulicích je mateřská i základní škola. Obchody s potravinami jsou v Kamenici, Kostelci, Želivci. Vše do 10 minut autem. Pro více informací, podklady či sjednání prohlídky neváhejte kontaktovat makléře nemovitosti.
  • Vložení inzerátu:
    13.5.2020
  • Kód:
    00150
  • K dispozici od:
    0.0.0
  • Typ nemovitosti:
    Pozemek k bydlení
  • Telekomunikace:
    Telefon
  • Voda:
    místní zdroj, dálkový vodovod
  • Elektřina:
    230 V
  • Doprava:
    silnice, dálnice, MHD, autobus
  • Plyn:
    plynovod
  • Odpad:
    kanalizace
  • Komunikace:
    asfaltová
  • Nabídky v okolí:
  • Informace o obci:
    Obec Sulice má 1368 obyvatel, z toho 979 v produktivním věku.
    V obci je rozvod kanalizace.
    V obci je rozvod městské vody.
    V obci je rozvod plynu.

Podobné nabídky v okolí

Lokalita: Chmelová 1, Sulice, okres Praha-východ, Česká republika Chmelová 1, Sulice, okr. Praha-východ