Pozemek 9478 m2 - Pražská, Hořovice, okr. Beroun
Cena:
40 000 000 Kč
Stav:Volný
parcela: 9478m2
Popis:
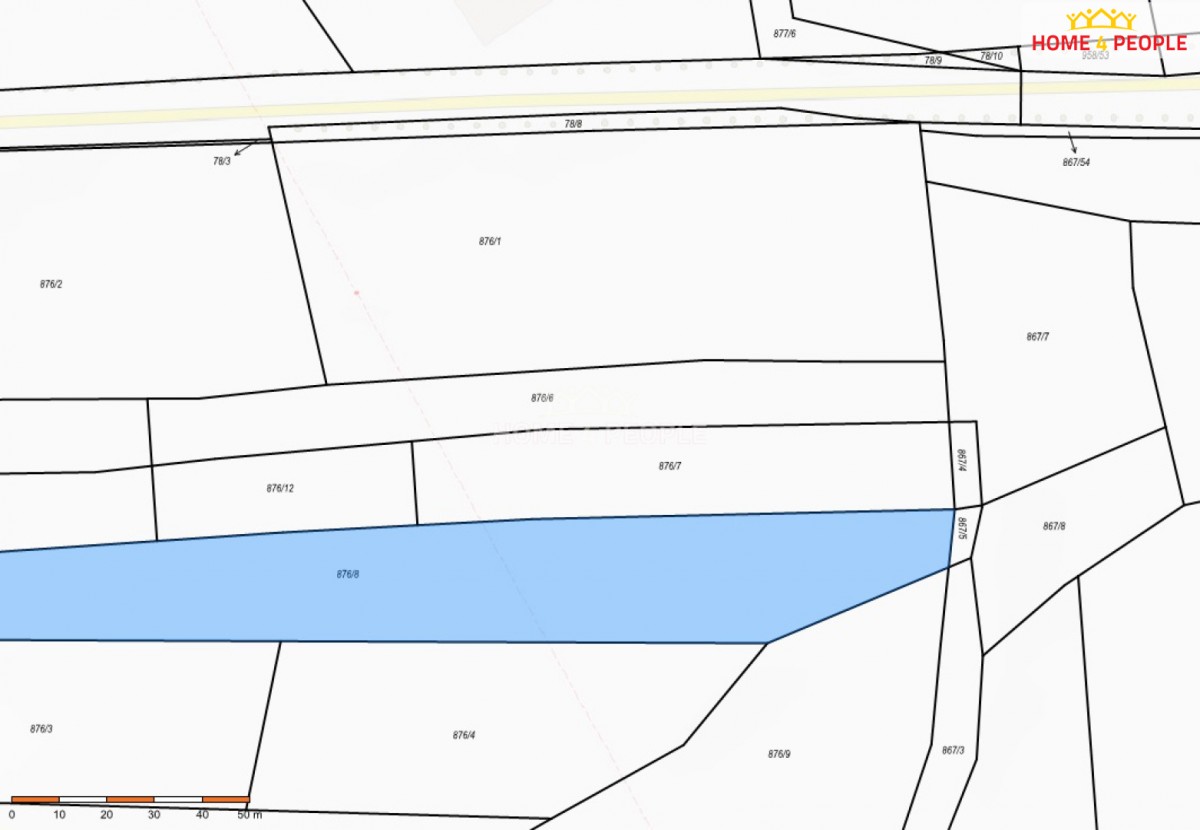
včetně provize a právního servisu. . Nabízíme k prodeji pozemky parc. č. 876/8 a 876/9 v katastrálním území Velká Víska, situované v bezprostřední návaznosti na město Hořovice a rozvíjející se komerční zónu.
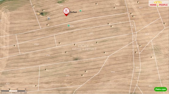
Dle územníh...o plánu jsou pozemky určeny k zastavění a představují zajímavou investiční příležitost s potenciálem dalšího komerčního rozvoje. Bezprostřední sousedství nově vybudovaného Kauflandu potvrzuje rostoucí význam celé lokality a vytváří předpoklad pro budoucí rozšíření obchodních, službových či jiných podnikatelských aktivit.
Významným benefitem je rovněž blízkost technické infrastruktury, včetně vedení vysokého napětí, které může být výhodou z pohledu budoucího napojení a rozvoje komerčních projektů.
Lokalita nabízí výbornou dopravní dostupnost, viditelnou rozvojovou dynamiku a zajímavý potenciál budoucího zhodnocení.
Hlavní výhody:
- parcely č. 876/8 a 876/9
- lokalita Hořovice / Velká Víska
- dle územního plánu určeno k zastavění
- v sousedství nově vybudovaný Kaufland
- zajímavá investiční příležitost
- dobrá dostupnost a rozvojový potenciál území
Více informací, přesná výměra a podmínky prodeje na vyžádání. Ev. číslo: 32145.
- Vložení inzerátu:
6.4.2026
- Kód:
4194947
- Typ nemovitosti:
Pozemek k podnikání
- Nabídky v okolí:
- Informace o obci:
Obec Hořovice má 6718 obyvatel, z toho 4746 v produktivním věku.
V obci se nachází pošta.
V obci se nachází škola, popř. školka.
V obci se nachází zdravotní zařízení.
V obci je rozvod kanalizace.
V obci je rozvod městské vody.
V obci je rozvod plynu.
Lokalita:
Pražská , Hořovice, okres Beroun, Česká republika
Pražská, Hořovice, okr. Beroun