• Sledovat cenu
  •  

Zasílání upozornění emailem:

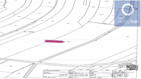
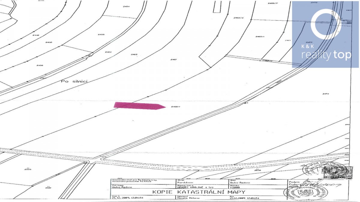
Pozemek 4600 m2 - Dolní Ředice, okr. Pardubice

Cena: 1 Kč
Stav:Volný
parcela: 4600m2
Popis: Prodej lukrativního komerčního pozemku o výměře 4. 600 m2 u obce Časy u Pardubic, situován jižně od sídla, západně od silnice III. třídy, severozápadně od stávající křižovatky stávající silnice I/36 a silnice I...II. třídy, u sjezdu rychlostní komunikace R 35. Tento pozemek je dle územního plánu obce z roku 2018 určen jako: dopravní infrastruktura - silniční síť. Pozemek je tedy vhodný např. pro výstavbu čerpací stanice pohonných hmot, motorestu. Inženýrské sítě na hranici pozemku. Více info u realitního makléře.
  • Vložení inzerátu:
    10.4.2019
  • Kód:
    0078
  • K dispozici od:
    11.4.2019
  • Typ nemovitosti:
    Pozemek k podnikání
  • Umístění objektu:
    Centrum
  • Nabídky v okolí:
  • Informace o obci:
    Obec Dolní Ředice má 853 obyvatel, z toho 609 v produktivním věku.
    V obci se nachází pošta.
    V obci je rozvod městské vody.
    V obci je rozvod plynu.
Lokalita: Dolní Ředice, okres Pardubice, Česká republika Dolní Ředice, okr. Pardubice, Pardubický kraj


Podobné nabídky v okolí


Volná pracovní místa ExpertPrace.cz
  • Objednání prohlídky a více informací
  •  
  • Poslat na e-mail
  •  

Zasílání odkazu na realitu emailem: