• Sledovat cenu
  •  

Zasílání upozornění emailem:

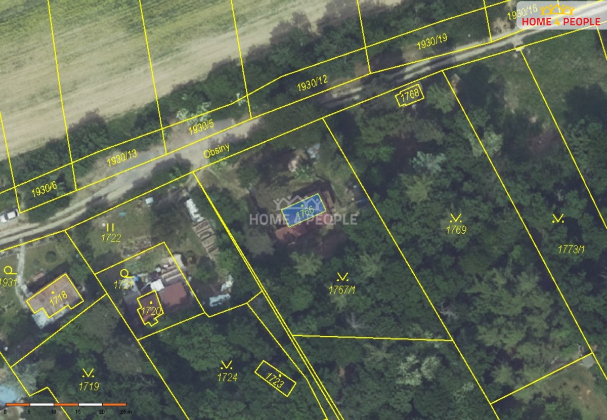
Pozemek 32 m2 - Lipence , Praha

Cena: 44 800 Kč
Stav:Volný
parcela: 32m2
Popis: včetně provize a právního servisu. . Nabízíme k prodeji spoluvlastnický podíl 1/2 na pozemku parc. č. 1766v katastrálním území Lipence, zapsaném na LV 977.
Pozemek má celkovou výměru cca 32 m², předmětem prodeje je tedy... ideální polovina podílu.
Na pozemku se nachází cizí rekreační objekt.
Parcela se nachází v klidné části Lipenců a je evidována v katastru nemovitostí. Prodej je vhodný zejména pro zájemce o rozšíření stávajícího pozemku v okolí nebo jako dlouhodobá investice.
Podrobnější informace k pozemku, listu vlastnictví a právnímu stavu rádi poskytneme na vyžádání. Ev. číslo: 32058.
  • Vložení inzerátu:
    28.12.2025
  • Kód:
    4037869
  • Typ nemovitosti:
    Ostatní pozemky
Lokalita: Lipence , Praha, Česká republika Lipence , Praha, Praha

Kontakt

František Zbahna


Podobné nabídky v okolí


Volná pracovní místa ExpertPrace.cz
  • Objednání prohlídky a více informací
  •  
  • Poslat na e-mail
  •  

Zasílání odkazu na realitu emailem: