• Sledovat cenu
  •  

Zasílání upozornění emailem:

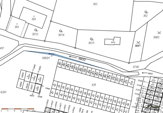
Pozemek 10928 m2 - Garážní, Rychvald, okr. Karviná

Cena: 19 690 000 Kč
Stav:Volný
parcela: 10928m2
Popis: Prodej komerčních pozemků – Rychvald u Karviné, 10 928 m²

Nabízíme k prodeji soubor pozemků o celkové výměře 10 928 m² v obci Rychvald u Karviné. Dle katastru nemovitostí jsou pozemky vedeny jako trvalý travní porost a vod...ní plocha.
Vodní plocha je určena k zásypu

Specifikace pozemků:

Parc. č. 430 – 3 241 m²

Parc. č. 431 – 375 m²

Parc. č. 432 – 6 925 m²

Parc. č. 6865/1 – 31 m²

Parc. č. 6865/3 – 356 m²

Územní plán:
- Pozemky parc. č. 430, 431 a 432 jsou dle územního plánu zařazeny do ploch dopravní infrastruktury – dopravní a silniční (DS) a nacházejí se v zastavitelném území (plocha Z198) dle § 2 odst. 1 písm. j) stavebního zákona.

Část pozemku č. 432 se nachází v ploše zeleň přírodního charakteru (ZP) a je součástí nezastavěného území dle § 2 odst. 1 písm. f) stavebního zákona. Tato část má výměru 1 157 m².

Vymezení ploch DS a ZP i stanoviska územního plánu k plánovaným terénním úpravám (např. návoz materiálu, suti) jsou k dispozici na vyžádání.

Možnosti využití (v rámci kategorie DS):
- Výstavba garáží a parkovacích ploch
- Provoz skladových prostor
- Zřízení autoservisu nebo pneuservisu
- Autobusové, vlakové či tramvajové nádraží včetně souvisejících zařízení

Další benefity:
- Možnost zisku z těžby a zpracování náletových dřevin na rozsáhlé ploše
- Potenciál výnosu ze zásypu vodní plochy (odhadovaný objem přes 40 000 m³)
Tímto ziskem se očekává návratnost pořizovací ceny pozemků.

Lokalita:
Pozemky se nachází na strategickém místě s výbornou dostupností do Karviné, Ostravy a okolních měst. Jedná se o atraktivní příležitost pro investory i podnikatele v oblasti dopravy, servisu nebo logistiky.

Pro bližší informace o ceně, podmínkách prodeje a možnostech financování nás neváhejte kontaktovat.
  • Vložení inzerátu:
    11.7.2025
  • Kód:
    00553
  • K dispozici od:
    0.0.0
  • Typ nemovitosti:
    Pozemek k podnikání
  • Elektřina:
    230 V, 380 V
  • Doprava:
    silnice, dálnice, MHD, autobus, vlak
  • Komunikace:
    asfaltová
  • Nabídky v okolí:
  • Informace o obci:
    Obec Rychvald má 7119 obyvatel, z toho 4898 v produktivním věku.
    V obci se nachází pošta.
    V obci se nachází škola, popř. školka.
    V obci se nachází zdravotní zařízení.
    V obci je rozvod kanalizace.
    V obci je rozvod městské vody.
    V obci je rozvod plynu.
Lokalita: Garážní , Rychvald, okres Karviná, Česká republika Garážní, Rychvald, okr. Karviná

Kontakt

František Bula



Volná pracovní místa ExpertPrace.cz
  • Objednání prohlídky a více informací
  •  
  • Poslat na e-mail
  •  

Zasílání odkazu na realitu emailem: